Nieuwbouwwoning te Molenstede

Nieuwbouwwoning Langenberg 3290 Diest (Molenstede)

1 woning beschikbaar

open eigentijdse bebouwing 

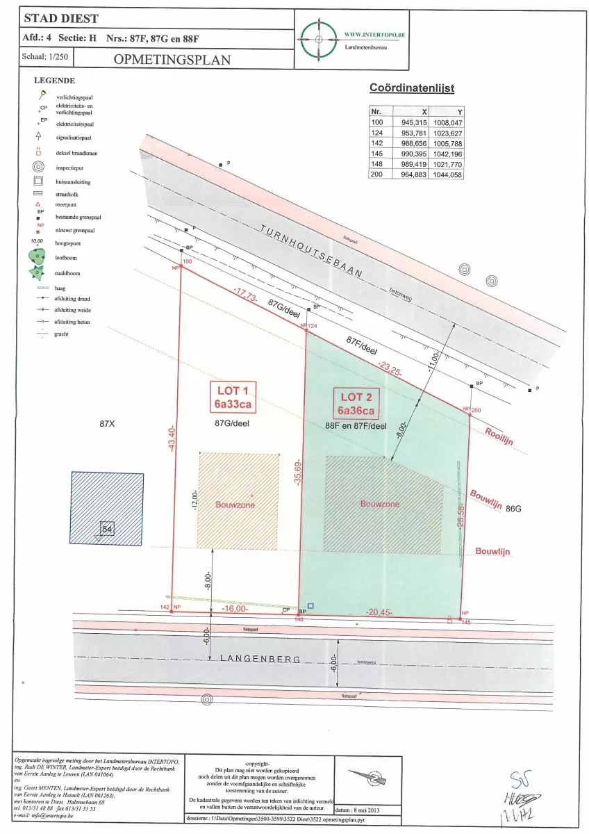
In Molenstede vindt je een perceel bouwgrond, bestemd voor een vrijstaande woning op lot 1 met een oppervlakte van 6a33ca.

Afmetingen volgens verkavelingsplan:

- breedte perceel straatzijde (Langenberg): 16m

- gevelbreedte: 10m

- mogelijke bouwdiepte gelijkvloers: 15m, verdieping: 12m

- dakvorm: vrij te kiezen (dakhelling tussen 0° en 50°)

- Perceel grenst achteraan quasi tegen de Turnhoutsebaan. Centrum en station Diest op fietsafstand.

 

De moderne woning op lot 1 heeft een oppervlakte van 152m2. Er is een eet- en zithoek voorzien en een ruime keuken met berging. Boven zijn er alvast 3 slaapkamers waarvan eentje met dressing en een badkamer met bad en douche. Alle keuzes i.v.m. de afwerking van de woning zijn naar wens bespreekbaar.

Ook het ontwerp van de woning is slechts een voorstel en kan volledig met jou op maat uitgewerkt worden. Vanaf casco afwerking biedt de woning je alvast alle zekerheden en garanties en van daaruit kan je zorgeloos verder afwerken. Een volledig afgewerkte woning is natuurlijk ook mogelijk!

 

Dit project wordt aangeboden i.s.m. Immodiest, samen thuis in vastgoed!

Wens je meer informatie over deze woning?

Plan je vrijblijvende afspraak met bouwadviseur Luc via onderstaand formulier.

Ter bescherming van uw persoonsgegevens maakt Browsbox gebruik van de reCAPTCHA-technologie van Google. Het Privacybeleid en de Servicevoorwaarden van Google zijn daarop van toepassing.
Nieuwbouwwoning, open bebouwing, moderne woning, Moldenstede

INDELINGS- EN VERKAVELINGSPLAN

Casco Afwerking

  • Ruwbouw winddicht
  • Sanitaire leidingen (incl. hergebruik regenwater)
  • Elektriciteit
  • Vloerverwarming op LW/warmtepomp
  • Pleisterwerken
  • Isolatiewerken en chape
  • EPB berekening 
  • Ventilatie D+
  • Kostprijs architect en veiligheidscoördinatie inclusief
  • 8 zonnepanelen

    Sleutel op de deur afwerking

    • Casco
    • Afgewerkte keuken
    • Sanitaire toestellen
    • Tegelvloeren op het gelijkvloers en in de badkamer
    • Binnendeuren
    • Voegwerken
    • Trap in rubberwood

    PRIJS CASCO € 380 000

    € 380 000 excl. alle kosten op grond en constructie
    € 465 000 incl. alle kosten op grond en constructie

    PRIJS SLEUTEL OP DE DEUR  € 405 000

    € 405 000 excl. alle kosten op grond en constructie
    € 495 000 incl. alle kosten op grond en constructie

    Deel dit project

    of bekijk alle projecten

    Woningen

    • Nieuwbouwwoning te Molenstede
      EPB: A+

      Nieuwbouwwoning te Molenstede

      Moderne woning
      152m2
      3
      2
    Maak een afspraak